광둥(중국)은 슈퍼 태풍 라가사가 상륙하면서 시속 200km의 돌풍을 기록했습니다

Việt Đức |

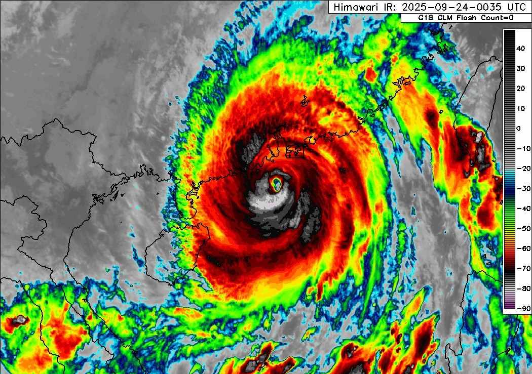
9월 24일 광둥성의 주요 도시들 중국 남부 브라질 브라질은 강풍에도 불구하고 슈퍼 태풍 라가사를 벗어난 것으로 보입니다.

선전시는 약 200km/h의 강풍을 기록했습니다. 그러나 태풍이 서쪽으로 이동하면서 양장시 근처에 상륙하는 동안 풍속은 약 145km/h로 감소했습니다.

장먼에서는 240km/h 이상의 돌풍이 기록되었습니다.

9월 24일 저녁(현지 시간)까지 주강 삼각주 지역의 주요 도시들은 태풍 제한을 해제하고 태풍 경보 수준을 낮추기 시작했습니다.

중국 기상청에 따르면 위성 이미지는 라가사 태풍이 약화되어 9월 24일 오후(현지 시간)에 '슈퍼 태풍'에서 '강력 태풍'으로 강등되었음을 보여줍니다.

선전시 당국은 이전에 며칠 동안 준비를 주도했으며 865개의 임시 대피소를 열었습니다. 학교 궁전 식품 공급 궁전 식수 및 접이식 침대가 있는 곳입니다.

9월 23일 저녁(현지 시간)부터 모든 경제 활동 학교 및 교통이 중단되었지만 9월 24일 저녁(현지 시간)에는 거의 완전히 회복되었습니다. 경보 수준이 빨간색에서 노란색으로 낮아졌고 노동자들은 거리 청소를 시작했습니다.

중앙 정부는 또한 부두 댐 학교 및 병원 수리를 포함한 부두 재해 복구 작업에 2억 위안을 할당했습니다. 광저우 수도도 학교 교통 및 기업 부두를 폐쇄했지만 백운 국제공항은 같은 날 오후 6시부터 항공편을 재개했습니다.

그러나 다른 일부 지역은 여전히 약간의 영향을 받았습니다.

후멘 마을(선전에서 70km)은 약 10cm의 물이 침수되었지만 모래주머니를 미리 놓은 덕분에 피해가 제한되었습니다. 하이링 섬(양장): 강풍으로 인해 많은 주택이 심하게 흔들리고 일부 레스토랑과 거리가 절반으로 침수되었습니다. 폭우는 9월 25일까지 계속될 것으로 예상됩니다.

Việt Đức
관련 뉴스

하노이에서 4천억 동 이상 보상받은 토지는 현행 토지 가격표와 일치합니까

|

딘티엔호앙 거리 400m2 이상의 토지를 소유한 한 가구가 동쪽 공원-광장 건설을 위한 토지 수용으로 4000억 동 이상을 보상받았습니다.

하노이 1단계 순환 도로 건설 공사 긴급 철거 2개의 직통 고가도로 건설 예정

|

하노이 - 부지를 깨끗하게 인수한 후 투자자는 호앙까우 - 보이푹 구간의 순환 도로 1호선 프로젝트를 위한 부두 2개인 부지 항목 건설을 시작할 것입니다.

SEA 게임 33 준결승 U22 베트남 대 U22 필리핀 축구 생중계

|

오늘(12월 15일) 오후 3시 30분에 열리는 SEA 게임 33 준결승에서 U22 베트남 대 U22 필리핀 축구 생중계.

노동조합 활동에 대한 정보 및 경험 공유 강화

|

하노이 – 베트남 노동총연맹과 인도네시아 전체 노동조합 연맹이 회담을 개최했습니다.

금 가격이 새로운 최고치를 기록 많은 사람들이 금반지 매수 차례를 기다리고 있습니다

|

금 가격은 매수 수요가 있는 사람들로 인해 다시 상승세를 이어갔습니다. 판매자들은 거래를 기다리며 줄을 섰습니다.

2개월도 채 안 되어 5번이나 침수 럼동의 글라디올러스 수도 설날 망칠까 걱정

|

람동 - 2025년 마지막 2개월도 채 안 되어 전국 최대 글라디올러스 수도인 히엡탄(Hiep Thanh) 면은 5번이나 깊이 침수되어 설날 시장에 공급할 꽃이 부족할 위험에 처했습니다.

오늘 오후 롱탄 공항은 떤선 공항에서 오는 항공편을 맞이할 예정입니다

|

동나이 - 오늘 오후 12월 15일 롱탄 공항은 떤선 공항에서 보잉 787 항공기로 시험 기술 비행을 맞이할 것으로 예상됩니다.

SEA 게임 33 메달 순위표 12월 15일

|

12월 15일 SEA 게임 33 메달 순위표 업데이트.

Siêu bão Ragasa càn quét, Trung Quốc sơ tán gấp 1,9 triệu người

Việt Đức |

Gần 1,9 triệu người ở miền Nam Trung Quốc được sơ tán khẩn cấp sau khi siêu bão Ragasa đổ bộ.

Siêu bão Ragasa phá tung hồ chứa, 14 người thiệt mạng ở Đài Loan (Trung Quốc)

Việt Đức |

Siêu bão Ragasa đổ bộ Đài Loan (Trung Quốc), làm vỡ một hồ chứa, khiến ít nhất 14 người thiệt mạng và nhiều khu vực bị ngập lụt nghiêm trọng.

Bão số 9 Ragasa thay mắt bão, suy yếu nhanh, Bắc Bộ sắp hứng mưa lớn

Khánh Minh |

Sáng 24.9, bão số 9 Ragasa không còn là siêu bão và dần suy yếu khi tiến vào bán đảo Lôi Châu (Trung Quốc) nhưng vẫn duy trì sức gió mạnh.