세계

러시아, 지난주 우크라이나 군인 8,000명 이상 퇴역 발표

|

러시아 국방부는 5월 1일 우크라이나 군대가 이번 주 군사 작전 지역에서 약 8,010명의 군인을 잃었다고 밝혔습니다.

미국에 베트남의 지적 재산권 보호에 대한 객관적인 평가를 요청합니다

|

미국 측에 지적 재산권 보호 분야에서 베트남의 노력과 성과에 대한 객관적이고 균형 잡힌 평가를 요청합니다.

세계 24시: 금값 상승 이유

|

최신 세계 뉴스 1월 5일: 세계 금 가격 상승, 러시아, 이란에서 우라늄 반출 방안 협상 참여;...

미국, 이란 유조선 몰수 절차 시작

|

미국은 호르무즈 해협 봉쇄 과정에서 해군에 의해 나포된 이란과 관련된 유조선 2척을 압수하려고 노력하고 있습니다.

베네수엘라, 미국 기업과 석유 및 가스 협정 체결

|

새로운 협정은 에너지 분야에서 베네수엘라와 미국 간의 관계 해빙의 신호를 나타냅니다.

러시아 미국과의 핵 협상에서 카드 추가 획득

|

WSJ는 부레베스트니크 순항 미사일이 러시아가 미국과의 핵 협상에서 추가적인 영향력을 확보하는 데 도움이 된다고 주장합니다.

우크라이나 협상 준비 선언했지만 영토 양보 불가

|

젤렌스키 대통령은 우크라이나가 평화 협상에 나설 준비가 되어 있지만 러시아의 추가 영토 양보 요구는 받아들이지 않을 것이라고 확인했습니다.

이스라엘 휴전 위반 혐의 후 가자 지구 공격 명령

|

베냐민 네타냐후 이스라엘 총리는 하마스가 현행 휴전 협정을 위반했다고 비난하며 군대에 가자 지구 공격을 지시했습니다.

러시아 연중 징집으로 새로운 병역법 통과

|

러시아 국가 두마(하원)는 이전처럼 일시적인 입영 절차 대신 연중 입영 절차를 진행할 수 있도록 허용하는 새로운 법률을 통과시켰습니다.

미국 독일에 러시아 석유 회사의 운명을 끝낼 기한을 정하다

|

미국은 독일이 자국 영토 내 러시아 석유 회사 로스네프트의 자산 소유권을 완전히 처리할 수 있도록 6개월의 기한을 정했습니다.

올해 가장 강력한 슈퍼 태풍 멜리사가 2차 상륙 지점을 향해 나아가고 있습니다

|

슈퍼 태풍 멜리사는 5등급 허리케인 강도로 자메이카에 상륙했으며 이는 현대 역사상 카리브해 섬나라에 상륙한 가장 강력한 태풍입니다.

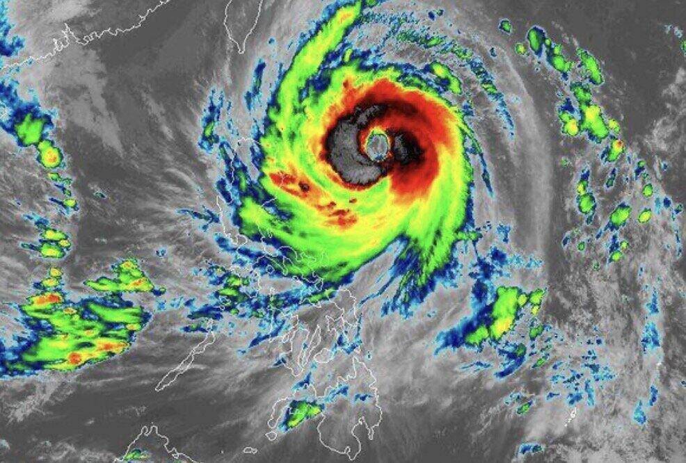
지구상에서 가장 강력한 슈퍼 태풍 멜리사가 역대 모든 태풍 기록을 깨다

|

지구상에서 가장 강력한 슈퍼 태풍 멜리사는 기상 역사상 기압과 풍속 기록을 깨고 2005년 슈퍼 태풍 카트리나를 넘어섰습니다.

세계 24시: 남중국해 근처에 슈퍼 태풍이 곧 나타날 것이라는 소문의 진실

|

최신 세계 뉴스 10월 28일: 슈퍼 태풍이 11월 초 남중국해 근처에 곧 나타날 것이라는 소문의 진실; 노르트 스트림 사건이 다시 뜨거워져 유럽에서 긴장이 고조되고 있습니다...

벨로루시: 리투아니아 국경 폐쇄 명령은 비합리적

|

10월 28일 알렉산더 루카셴코 벨로루시 대통령은 리투아니아와 벨로루시의 국경 폐쇄 명령이 비합리적인 행동이라고 선언했습니다.

아베 신조 암살 용의자 자백

|

용의자 테츠야 야마가미는 2022년 아베 신조 전 일본 총리를 사제 총기로 암살한 행위를 인정했습니다.

북동 몬순이 비정상적으로 강하게 활동하여 겨울이 일찍 올 것임을 알립니다

|

필리핀은 공식적으로 북동 몬순 시즌 시작을 발표했으며 곧 다가올 한파를 예보했습니다.

미국-일본 5 500억 달러 규모의 무역 협정 체결

|

도널드 트럼프 미국 대통령과 사나에 다카이치 일본 총리는 5 500억 달러 규모의 무역 협력 협정에 서명했으며 여기에는 많은 중요한 항목이 포함되어 있습니다.

필리핀의 풍부한 금 보유고는 금 가격 하락 속에서 차익 실현 권고를 받았습니다

|

필리핀 중앙은행 통화위원회 위원은 금 가격이 급격히 하락하는 상황에서 헤라드를 계산하고 이익을 실현할 것을 권고했습니다.

슈퍼 태풍 멜리사가 300만 인구의 섬나라를 강타할 준비를 하고 있으며 기록적인 폭우를 일으키고 있습니다

|

슈퍼 태풍 멜리사는 자메이카 킹스턴 브리지에서 남서쪽으로 약 240km 떨어져 있으며 최대 풍속은 280km/h입니다.

노르트 스트림 사건 유럽 긴장 고조로 다시 뜨거워져

|

노르트 스트림 파이프라인을 파괴한 용의자는 이탈리아에서 독일로의 범죄인 인도 명령에 불복종하여 유럽을 뒤흔든 폭발의 결말이 여전히 미해결 상태입니다.