세계

당신은 호르무즈 해협에서 초음속 지뢰 사냥 드론을 투입하고 기뢰를 파괴할 수 있어요

|

영국은 이란과의 갈등 고조를 피하기 위해 호르무즈 해협에서 기뢰를 탐지하고 파괴하기 위해 지뢰 사냥 드론을 사용하는 방안을 모색하고 있습니다.

헝가리, 우크라이나의 압력에 굴하지 않겠다고 선언

|

헝가리 총리는 우크라이나에 적대 행위와 방해 정책을 중단할 것을 촉구하고 부다페스트는 움츠러들지 않을 것이라고 단언했습니다.

국회는 개혁과 발전을 촉진하는 중요한 주체 역할을 합니다

|

베트남에서 열리는 제16대 국회 및 2026-2031년 임기 각급 인민의회(HĐND) 대표 선거는 국가의 광범위하고 실질적인 개혁 과정에서 중요한 사건이며, 국회는 개혁과 발전을 촉진하는 중요한 주체 역할을 합니다.

러시아 유조선, 지중해에서 검게 타오르다, 우크라이나 드론으로 의심

|

러시아 "어둠의 함대"에 속한 유조선 Arctic Metagaz의 잔해가 지중해의 몰타 해역 근처에서 자유롭게 표류하는 것이 발견되었습니다.

미국, NATO가 중동 분쟁에서 벗어나면 안보 우산 포기 경고

|

도널드 트럼프 대통령은 회원국들이 미국이 호르무즈 해협을 개통하는 것을 지원하지 않으면 NATO의 운명이 위협받을 것이라고 선언했습니다.

노르트 스트림 때문에 깊이 분열된 유럽

|

노르트 스트림 폭발의 미스터리는 독일이 우크라이나인 파괴 공작 그룹의 용의자를 기소할 준비를 하고 있음에도 불구하고 아직 끝나지 않았습니다.

손상된 턴쩌우 20 중국이 턴쩌우 22를 일찍 발사할 준비를 하고 있습니다

|

중국의 새로운 우주선 발사는 우주 정거장 작동의 안전을 보장하기 위해 앞당겨졌습니다.

라니냐가 올 겨울 날씨를 지배할 것으로 예상

|

미국 기후 예측 센터(CPC)는 라니냐가 올 겨울 미국에서 주요 역할을 할 것으로 예측한다고 밝혔습니다.

러시아 군인 눈앞에서 지뢰 작동시켜 탈출

|

인터넷에 퍼진 사진은 러시아 군인이 지역에 진입하기 직전에 돼지가 폭탄을 터뜨리는 전장에서의 희귀한 순간을 보여줍니다.

멕시코 시장 암살 사건 이후 시위 확산

|

멕시코 여러 도시에서 폭력 시위가 발발했습니다.

러시아의 석유 충격이 전 세계로 확산되는 역설

|

유가는 하락했지만 휘발유 가격은 전혀 하락하지 않았습니다. 원인은 러시아의 정유 '충격'에 있습니다. 이는 역설을 만들어 전 세계 소비자들이 영향을 받았습니다.

러시아 당일 전선에서 우크라이나 군인 1 500명 이상 사살 발표

|

러시아 국방부는 11월 15일 군대가 자포리자 지역의 야블로코보 지역을 장악했다고 밝혔습니다.

12 000년 휴면 단층대에서 오는 끔찍한 지진 위험

|

12 000년 동안 침묵했던 거대한 단층대 틴티나는 극심한 지진을 일으킬 위험이 있는 지진 압력을 축적하고 있습니다.

금값을 결정하는 데 기여하는 강대국들의 조용한 전략

|

주요 경제국들은 기록적인 규모로 조용히 금을 보유하고 있으며 이는 금 가격을 전례 없이 상승시키는 데 기여하고 있습니다.

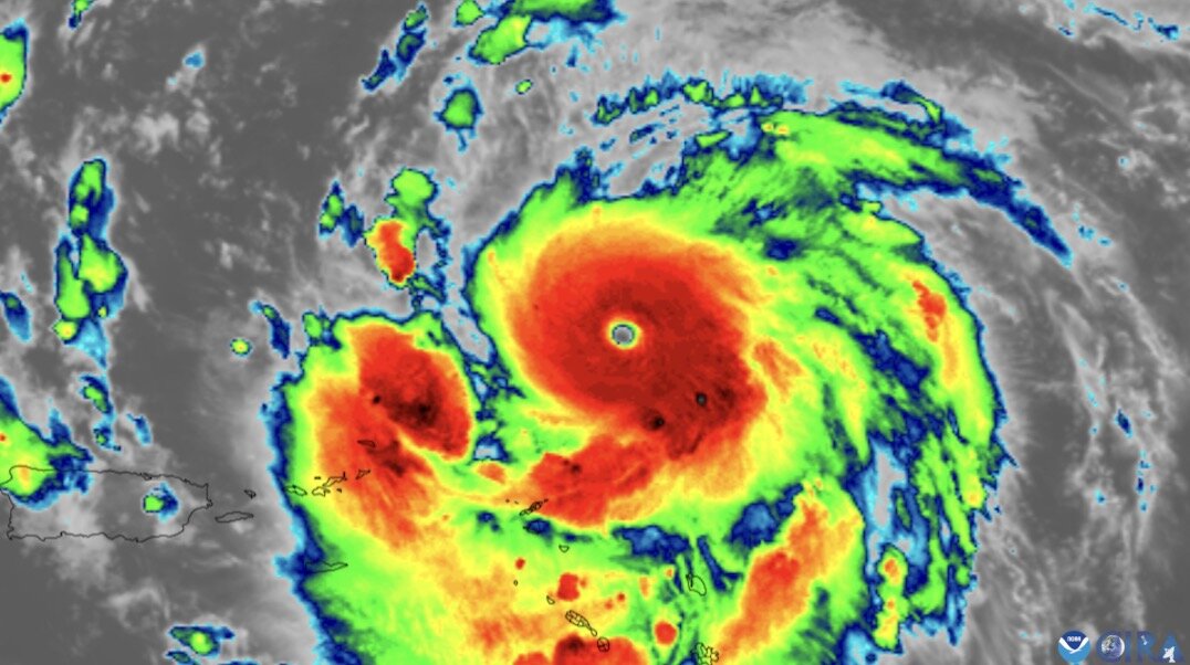
베르베나 태풍이 남중국해 근처에 곧 발생할 것이라는 소문의 진실

|

제14호 태풍 풍웡브라 이후 새로운 태풍 베르베나가 11월에 필리핀에 상륙할 것이라는 소문이 퍼졌고 필리핀 기상청이 입장을 밝혔습니다.

세계 24시: 새로운 저기압이 동해로 진입하는 시점에 대한 최신 예측

|

세계 뉴스 11월 15일: 트럼프 대통령 바나나 커피 및 기타 여러 식품에 대한 관세 인하; 새로운 저기압이 남중국해로 진입하는 시점에 대한 최신 예측...

서구인의 거의 절반이 정부에 의해 무시당한다고 느낍니다

|

대규모 설문 조사에 따르면 서구인의 45%가 민주주의에 불만을 품고 있으며 정부에 의해 무시당한다고 느끼고 미래가 더 나빠질까 봐 걱정합니다.

러시아 도네츠크 전장에서 포위망 강화

|

러시아 군대는 도네츠크의 세베르스크 근처에서 우크라이나군에 대한 포위망을 점차 강화하고 있습니다.

독일 우크라이나에 징집병 파견하지 않겠다고 약속

|

보리스 피스토리우스 독일 국방장관은 군 복무 재개 계획이 분쟁과 관련이 없다고 주장하며 여론을 진정시켰습니다.

미국 F-35 전투기에서 비탄두 핵폭탄 탑재 실험

|

탄두를 탑재하지 않은 B61-12 폭탄이 네바다주에서 미국에 의해 시험되었으며 이는 무기 현대화 프로그램의 진전을 의미합니다.